Category
Price
Min Price
Max Price
Beds
Baths
SqFt
Acres
You must be signed into an account to save your search.
Already Have One? Sign In Now
247622 Jefferson, NC 28640
3.400
Acres
$28,900
For Sale







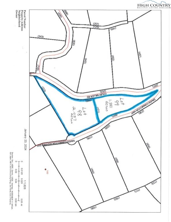
Gated Community located in the Great High Country area of Ashe County. Two Parcels being offered at one great price. Wooded lots that are gently sloping. House Sq Ft minimum of 1000. No Modulars or Mobile Homes. Restrictions apply. Once you see it you'll want to own it. The land is in the heart of the subidivion on a gravel road. The privacy allows for a feeling of owning your own mountain while enjoying the security of a gated community. Established homes in place on other lots. Located about 20 minutes from Downtown West Jefferson. Enjoy the Blue Ridge Parkway, Canoe the New River, Shop at our unique stores and dine at many local restaurants. Our hope is that you will visit and fall in love with all that the High Country has to offer. POA Fees are $200.00 per lot - so $400.00 total per year.
Listing ID:
247622
Property Type:
Residential
Acres:
3.400
Map
Latitude: 36.417481 Longitude: -81.330228
Location & Neighborhood
City: Jefferson
County: Ashe
Area: 16-Jefferson, West Jefferson
Subdivision: The Peaks
Environment
Terrain: Sloping
Utilities & Features
Sewer: Not Connected, Septic Needed
Interior
Exterior
Construction
Financial
Property Taxes: $189
Other
Price Per Sqft: N/A
Price Per Acre: $8,500
The data relating this real estate listing comes in part from the High Country Multiple Listing Service ®. Real estate listings held by brokerage firms other than the owner of this website are marked with the MLS IDX logo and information about them includes the name of the listing broker. The information appearing herein has not been verified by the High Country Association of REALTORS or by any individual(s) who may be affiliated with said entities, all of whom hereby collectively and severally disclaim any and all responsibility for the accuracy of the information appearing on this website, at any time or from time to time. All such information should be independently verified by the recipient of such data. This data is not warranted for any purpose -- the information is believed accurate but not warranted.
Our agents will walk you through a home on their mobile device. Enter your details to setup an appointment.